Introduction
In the past, skin consultations in beauty salons and aesthetic clinics largely depended on visual observation and practitioner experience. While skilled professionals could identify common skin concerns, this approach often involved a degree of subjectivity and inconsistency.
Today, as client expectations shift toward transparency, accuracy, and measurable results, the industry is rapidly moving from “guesswork” to data-driven skin analysis. Advanced technologies—particularly AI-powered skin analysis devices—are redefining how consultations are conducted and how treatment plans are created.
For modern clinics, this transition is not just a technological upgrade; it is a strategic transformation. Device-based skin analysis systems provide objective data, visual evidence, and personalized insights, allowing practitioners to deliver more precise and results-oriented treatments.

Background/Problem
Traditional skin consultations rely on:
- Visual inspection under standard lighting
- Manual touch and subjective judgment
- Client-reported concerns
While these methods can identify surface-level issues, they often fail to detect deeper or underlying conditions such as:
- Early-stage pigmentation
- Subsurface oil imbalance
- Hidden inflammation
- Dehydration at deeper layers
This leads to several challenges:
- Inconsistent diagnosis between practitioners
- Difficulty in tracking treatment progress
- Limited ability to justify treatment plans to clients
For clients, this lack of measurable data can reduce trust and confidence in recommended treatments.
For clinics, it limits the ability to provide highly customized solutions and differentiate services in a competitive market.
As a result, there is a growing demand for technologies that can deliver accurate, repeatable, and visualized skin analysis.

Technology/Mechanism
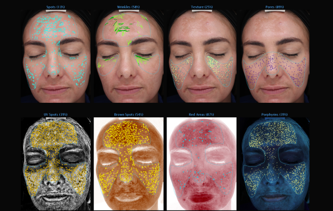
Modern AI skin analysis systems combine imaging technology, spectral analysis, and artificial intelligence algorithms to evaluate skin conditions in detail.
1. Multi-Spectral Imaging
Advanced devices use different light sources—such as UV, polarized, and RGB lighting—to capture images of the skin at various depths.
- Reveals surface and subsurface conditions
- Detects pigmentation, pores, and texture
2. High-Resolution Imaging Systems
High-definition cameras capture detailed skin images, allowing for precise observation of skin features.
3. AI Algorithm Analysis
Artificial intelligence processes the captured images to identify and quantify multiple skin concerns.
- Oil levels
- Wrinkle depth
- Pore size
- Pigmentation distribution
4. Data Visualization and Reporting
The system generates clear visual reports and scores, making it easier for both practitioners and clients to understand skin conditions.
Professional AI skin analyzers are designed with:
- User-friendly interfaces
- Fast analysis capabilities
- Comprehensive reporting systems
This ensures efficient and standardized consultations in clinical environments.
Advantages/Comparison

From a device-centered perspective, AI-driven skin analysis offers significant advantages over traditional consultation methods.
1. Objective and Accurate Diagnosis
Data-driven analysis eliminates subjectivity, providing consistent and reliable results.
2. Visualization of Skin Conditions
Clients can see their skin condition clearly through detailed images and reports, increasing trust and engagement.
3. Personalized Treatment Planning
With precise data, practitioners can recommend treatments tailored to each client’s specific needs.
4. Progress Tracking
Before-and-after comparisons allow clinics to demonstrate treatment effectiveness over time.
5. Enhanced Professional Image
Using advanced devices positions clinics as modern, technology-driven service providers.
6. Superior to Basic Observation
Compared to manual consultations, AI devices provide:
- Deeper analysis
- Quantifiable data
- Repeatable results
From a business perspective, AI skin analyzers are powerful tools for improving conversion rates. Clients are more likely to accept treatment plans when they are supported by visible data and clear explanations.
Applications/Client Needs
In professional aesthetic clinics, AI skin analysis devices are used as the first step in the client journey.
During consultations, the device captures and analyzes the client’s skin condition, generating a detailed report. This helps practitioners identify both visible and hidden issues.
Based on the analysis, clinics can recommend targeted treatments such as:
- Deep cleansing for clogged pores
- Hydration treatments for dry skin
- Anti-aging procedures for wrinkles and loss of elasticity
AI analysis also plays a key role in:
- Monitoring treatment progress
- Adjusting treatment plans over time
- Enhancing client communication and education
For clients, this approach provides clarity and confidence, as they can understand their skin condition and see measurable improvements.
For clinics, it enables a more structured and professional consultation process, improving both efficiency and service quality.
Conclusion
The shift from guesswork to data-driven skin consultations represents a major advancement in the aesthetic industry. AI-powered skin analysis devices provide accurate, visual, and measurable insights that enhance both diagnosis and treatment planning.
By integrating these technologies into their workflow, professional clinics can deliver more precise, personalized, and results-driven services.
As client expectations continue to evolve, data-based consultations will become the standard in modern skincare—transforming the way practitioners understand, treat, and communicate skin health.
Founded in 2008, Guangzhou GLM Beauty Spa Equipment Factory specializes in research, development, manufacture and selling of beauty and slimming machines. Our production base is located in Guangzhou City, Guangdong Province, China. Since our foundation, we have introduced advanced technologies and equipment, to assure high quality and high performance of our products. With professional marketing guide and excellent after-sales service, our products have been exported to over 20 countries and regions, including Southeast Asia, the Middle East, Europe and the United States, won worldwide praises and gained a good reputation.
